- .. Old Cwmbran .. (St.Dials-Two Locks-Ty Coch-Oakfield) ..
This post card view of Cwmbran village dates back to 1912

.. Colin Bowen (formerly of Pontnewydd) contributed this village scene from his postcard collection ..
Ralph and Margaret Williams relates: This is a view of the bridge in old Cwmbran that went over the railway and the canal. The road to the left on the top of the bridge went down to Abbey Road. In the back ground is St Dials School, Cameron's Butchers shop and the Halfway Hotel.Mel Hilman relates: This picture is of the bridge in Old Cwmbran spanning the freight railway line and canal. St Dials School and the canal are in the background.The sloping road runs down to Abbey Road. In my police days in the mid 1960s we used to do a morning point duty at this junction with traffic coming up under the narrow railway bridge past the railway station entrance. The traffic used to be very busy - remembering that this was the main road through the valley at the time - St David's Road was still being developed.
Anne Williams relates: This is a very old picture of Old Cwmbran, with St Dials school behind the canal. The road to the left leads to Abbey Rd /Star Street , the main road goes up to Hill Top ( St Gabriel's church would be on the right, just after the turning into Clomendy Road). I think the old bridge was changed some time during the 1960's, then the old railway station and bridge were removed in the 1970s...
Kay Pedrosa (nee Porter) - Bradford, Ontario, Canada.
I thought you may be interested to know that my aunt (Edith Tucker) used to work for George Waters at his shop by the bridge near the Chapel.
I was born in Cwmbran (Trem Twynbarlwm) but moved up to London when very young. The rest of my fathers family lived in Cwmbran as well. His mother used to live in the flat at the top next to the alleyway leading from Trem Twynbarlwm to the canal - and to the sweet shop! I vividly remember visiting my grandmother and going up to the shop to get frozen Milky Ways on sticks from my aunt - the train tracks on the road - and the canal with all the rusted bikes and junk thrown in.
Aren't memories fabulous?
John Howard relates: A Blaenafon bound train has just left Cwmbr�n station heading north on the Eastern Valley branch line. Unusually the 0-6-0 Pannier Tank locomotive appears to be coupled between carriages. In the immediate foreground are GKN's raised-up railway sidings which ran alongside the ground-razed site of Foundry Row and extant Forge House as far as the buffer stops, just 35 yards short of Commercial Street in the village. This track if not laid was certainly maintained by my great-grandfather James Howard as he was employed as a Railway Platelayer for the Patent Nut & Bolt Co / G.K.N. between the years of 1895 and 1925.
The buttressed-buffer stops of GKN's lower sidings can be seen next to the canal towpath. That's where us 10 year-old boys used to spot the trains from. Photographed from behind the Ambulance Hall on Clomendy Road circa 1961.
Colin Bowen relates: Here we have a good picture of Cwmbran junction maybe around 1960 with the Newport to Blaenavon auto train just leaving Cwmbran heading towards Pontnewydd the locomotive was a specially fitted engine that could work in the middle of the train the driver could drive at either end of the train the fireman would stay on the loco I can see Cwmbran signal box at the end of the train and also Cwmbran Catholic School and hall where thy used to hold the Saturday dances.To the right of the picture on the other side of the canal this was the end of the ..G.K.N.. Internal railway that ran from Cwmbran to `Springvale` coke ovens and colliery the G.K.N. part of the railway was about two miles long. G.K.N. also had four steam locos and four mobile steam cranes I think the photograph is taken just outside Cwmbran somewhere along Clomendy road ... a good picture that says a lot.
Kenneth Beake relates: Looking back at old Cwmbran from in old G.K.N, sidings with the coaches and used to be full of trucks with tickets within easy reach, of the tow path of the canal, not that I took any.
Darren Powis relates: Cwmbran railway station opened to passengers from around 1878 until 1962. The station was located on the current site of Cwmbran Village Surgery and was mostly used by passenger trains between Newport and Blaenavon with some running to connect with main line services at Pontypool Road. The line remained open until around 1980 to carry coal traffic. On the right of the picture is the original Monmouthshire Railway Company line to Newport, which dates back to 1852 and had Cwmbran's first railway station on a site close to Abbey Road and the canal. This route had closed by the mid 1960`s and is now host to part of Cwmbran Drive.
.. Cwmbran Station 1962 ..
.. `The Half Way Inn` - July 2008 ..
.. circa 1960`s ..
..This is a view from old Cwmbran looking down Victoria Street, Ventnor Road runs off to the left..

Back in the early 1900`s when this photo was taken the building on the left was a Police Station and the `centrepiece` on the island was I believe a `pissoir` (Gentlemans Water Closet ) and was nicknamed `St.Paul`s` due, I believe, to the domed roof, that epitomises St.Paul`s Cathedral in London.
Victoria Street - `Memorial clock tower `outside the old Police Station, now Cwmbran Community Council offices.

.. Colin Bowen (formerly of Pontnewydd) contributed this village scene from his postcard collection ..
The postcard has no date but looking at the cars they all seem to be from around the 1950`s 1960`s. In front of the lorry is a Ford Anglia 105E, coming down the road is a Ford Consul and outside the Police Station (now occupied by Cwmbran Community Council), is a Morris Traveller 1000.
The lorry belonged to Wright & Lodge of Newport, they delivered Fruit and Vegetables to the local shops in Cwmbran and Pontnewydd; also the White building with the notice on the side is Kelly's Fish & Chip shop.
The black fronted building was Woodleys the butchers, I believe. Next to the clock tower is the bus shelter.
.. Click here for info on the `War Memorial` Clock ..
Mel Hillman relates: The old Police Station in Old Cwmbran The window on the right was the enquiry office where I worked as a Police Cadet in the mid 1960`s. The window on the left was in the adjoining court room.

.. Another postcard view, minus the bus shelter ..
.. Victoria Street ..
.. 1906 ..
.. Cwmbran - from the bridge
(Hill top in the distance) ..
.. Looking in the opposite direction ..
.. Commercial Street ..
.. 1915 ..
.. 1905 .. on the left Elim Chapel ..
.. Commercial Street ..

The Half Way pub is on the left -
(Hill top in the distance) ..
.. 1913 ..

..view from Hill Top ..
.. Abbey Road ..

Adrian Ivor Capes has kindly contributed this photograph of his Grandfather's shop in Abbey road. Date unconfirmed as yet..

(Photograph contributed by Maxine Davies)
Ralph & Margaret Williams recall: The shop behind the car used to sell clothes and hardware.
Les Roch recalls: The view, is of the row of shops off the old bridge in Old Cwmbran.There used to be a good sweetshop in that row, but it was a little further up. On the opposite side of the road is the Halfway Public House and a small patrons car park.
Behind the car park used to be the St. Dials school playground, but this has since be demolished, I spent many a day jumping over that wall to go over to the sweet shop mentioned earlier in this communication and on several occasions felt the wrath of Mr Sedgewick�s cane ( .. he was the Headmaster back in the 1960�s and 70�s).
Kenneth Beake responds: This photograph taken from top of Abbey Road, opposite the half way pub before they narrowed . I wonder if Jacksons shoe shop was still there then? he'd bring half a dozen pairs to the house for you to try on {early home shopping}.
Paul Mahagen responds: When I emigrated to Australia 1988 there was a chemist in those shops, and heading up towards Hill top in the background, is where I used to live up the top, Hodges Terrace. ... it was a steep clime home!
.. St. Gabriel's Church ..

Opened 1908
The Church is situated on the corner of St.Dials road and Clomendy Road.
.. St. Gabriel's Church n.b iron sheets.
Date unknown shows the side and rear of the church adjacent to Clomendy Road ..
St. Gabriel's Mothers Union group .. Early 1950`s

.. Cwmbran Brass Band .. 1905
Bandmaster. Mr. L. Edwards. Secretary. Mr. J. Williams.
.. 1906 ..
.. Our Lady of the Angels Catholic Church ..

In November, 1882, Bishop Hedley O.S.B. laid the Foundation Stone of the Church which is Gothic in style and built of red sand-stone. The cost was �1,500. It was designed by Mr. Paul Andre of Horsham, Surrey, and built by William Jones and Son, Newport. Opened May 1883.
..The Church is situated on Wesley Street..
.. circa 1985 (Photograph contributed by Maxine Davies ) ..
A view of the steel footbridge that once spanned the canal between Star Street and Broadweir Road, the foot bridge was later replaced by a road bridge.
Mel Hillman relates: This is the footbridge over the canal which was at the end of Llandowlais Street - a path led up to Wesley Street near the old Salvation Army Temple in Old Cwmbran. I crossed it every school day walking from Northville to Coed Eva Secondary School.
Hugh Woodford relates: I seem to remember the yellow footbridge being installed back in the 1960�s. It linked Broadweir Road to Star Street, across the Canal. In recent years it has been replaced with the current tarmaced road which now gives vehicular access between Broadweir Road and Star Street. My late aunt lived in Star Street and I also used to walk from my home in Ty Coch to play in Cwmbran Park.
Paul Compton relates: How well I remember that monstrosity of a footbridge being built! I was living in Bellvue road at the time. It's construction meant `no sweet shops` en route as my mother walked me to St Dials school. What's changed? Well from where the picture was taken at the end of the houses in Star street, you can't see my Gran`s house! She lived at no2 Brick Row. The Con club has also disappeared, along with the tiny bookies that was later run by Mike Lee.It must have been the most over engineered foot bridge in the country, you could drive a tank over the thing. Well, you could if they'd have made it wide enough.
.. The same view July 2009 ..
.. 1968 .. notice the `putting green` flag ..
Bonnie Howard of Maes-y-Rhiw relates: This is `The Putting Green` in Cwmbran Park on Cocker Avenue, circa 1960. The park keeper�s hut is on the right of the picture and beyond the bowling green to the extreme left is the Youth Club. To it's right the original wooden-structured pavilion can be seen which masked the house of Mrs. Jones of number 66, Cocker Avenue, the mother of Lord Chalfont (Alun Arthur Gwynne Jones, OBE, MC, PC) born in the Llantarnam parish on 5th December 1919.
Andrew Cruickshanks relates: I recall the 9 hole Putting course at Cwmbran park, spending many an hour there in the school holidays. I think it was three pence (pre decimal) a round with the putter included in the price. I think one of the park keepers was called Mr. Crocker. He was non too pleased when dozens of us would play hide and seek in the shrubs at the top of the park running along Wesley street.
.. Do you remember this scene? ..
.. Photograph kindly contributed by Maxine Davies ..
John Jenkins relates: This is the hill leading down from Victoria Street under the railway bridge to Coronation Road (now Llewellyn Road), Cwmbran Railway Station is on the right in the photo but out of view (now demolished ,Cwmbran Village Surgery is there now); How the `Western Welsh` and `Red and White` buses struggled to get around the corner under the railway bridge.
Lawrence Skuse relates: This is the old railway bridge on Victoria Street leading down to Llewellyn Road. I remember it was a nightmare for traffic, most people edged forward and sounded their horn to warn vehicles coming the other way; often someone had to give way and reverse back.
Anne Williams relates: In the 1960's the road led from the canal bridge in Old Cwmbran down under the railway bridge towards the new town centre. The path was narrow and as kids we'd always squash up against the wall if there was a vehicle coming! Cwmbran railway station would have been on the right although this closed down. (There is now a doctor's surgery there.) As you went under the bridge towards Southville you'd have seen the new Brookside and Roman Catholic schools on either side.
Ade Mahagen relates: This is a picture of the old railway bridge in Old Cwmbran where the buses could only pass one at a time, people used to stand on the corner and wave them through as it was a blind bend and very narrow.Darren Powis relates: This picture is of the old railway bridge over Victoria Street or Old Cwmbran bridge as we used to call it. I walked under the bridge many a time, going to and from `town`. It served as a way marker when walking home from town on dry evenings - especially as the chip shop was just around the corner!
I recall can the beeps of vehicle horns as they gave warning of their approach to the bridge, and coal trains rumbling over it in the twilight years of the old Blaenavon to Llantarnam line. The bridge was taken down in the 1980s after the line was taken up.The bridge was the reason that `double deckers` on the old 135 Greenmeadow bus service (showing my age!) had to run around Llewelyn Road and Llantarnam Road before looping back up through Old Cwmbran. To the right of the walker in the picture was the site of the former Cwmbran Station, and is now home to The Village Surgery.
Hugh Woodford relates: It�s the old railway bridge between Victoria Street and Llewellyn Road. It would have been taken down late 1970�s or early 1980�s. In spite of the danger of it being a blind 90 degree corner it was quite safe as most vehicles, buses included, negotiated it slowly and very carefully. At various times between 1975 � 1985 I worked in what was then a sub-branch of Lloyds Bank in Victoria Street and would have passed under it twice daily in travelling between there and the main branch in the town centre. It was the original Cwmbran branch of Lloyds before the town centre was built. By the time I closed the sub-branch down in September 1985 the railway line and bridge were gone. In the late 1970�s coal trains regularly travelled up and down the line as far as Hafodrynys, pulled by class 37 locomotives, known affectionately by train-spotters as �growlers.� What is now the surgery was, a number of years ago, the main railway station for Cwmbran.
Shaun McGuire relates: One thing I have noticed about the comments about the last photo comp that no one seems to have mentioned that just past the bridge in Coronation Road I seem to remember there was a wide 5 bar gate type of entrance into a field. It was in this field that I remember the visiting fairs and circuses being set up and if I am correct then I thought that would have been one memory that most locals would have remembered. The photo its self was taken looking towards where the field was.
Anne Williams (n�e Woodford) relates: The bridge was situated across the canal at the bottom of Two Locks. The railway track linked Whiteheads Brickworks and Whiteheads Wireworks. On the right you can just see the houses where my brother's friend used to live. As kids we used to run across the bridge, checking first that there were no trains coming , then down to my Nan's in Llandowlais Street. I also remember, as a young child, sitting on the crossbar of my dad's bike and him ringing his bell as we rounded the blind corner to ride under the bridge and down the canal path on the way home to Tycoch.Mel Hillman relates: This is one of the canal locks that gave 'Two Locks Road' its name. The bridge carried a work`s railway that crossed the road and connected with the old mineral line which is now Cwmbran Drive.
Lawrence Skuse relates: This is the canal bridge down from Two Locks Road/Llandowlais Street and the Ebenezer Chapel. Judging from the "Free Wales" daubed on it, I would say in the 1960s. I remember a neighbour in Adit Walk (West Pontnewydd) did time in prison for plotting to blow up the Severn Bridge!
The `Royal Visit` of King Edward 8th ;he started his tour of the Eastern valleys from Cwmbran; and also stayed at Llanfrechfa Grange ... the year 1936.

"This Photo has been in my family since 1936. It shows Edward the 8th at Cwmbran railway station. My Grand Father was the Station Master at that time; William Edward Wray Rogers (he�s standing in the back ground next to the policeman�s left). My mother is also in the photograph, by the lamp. This photo was taken a few months before the King abdicated".Robin Carter kindly contributed this interesting photograph:
.. Ross House ..

This grand, and imposing building is situated on the corner of Victoria Street and Oldbury Road, Old Cwmbran. `Ross House`, presently comprises of private flats but many years ago housed the offices of Cwmbran Urban District Council and a library administered by Monmouthshire County Council.
![]() |
![]() |
|
1956 |
2008 |
John Jenkins relates: This view on the left, would have been seen on the corner of Victoria Street and Oldbury Road in Old Cwmbran, the large building on the left of the photograph housed the Cwmbran Council offices, who�s entrance can be seen, and Cwmbran Library, who�s entrance was on the opposite side of the building in Oldbury Road. I think I�m correct when I say the building was originally built as a hotel. The council rooms in the 1970�s and were often used for union or political meetings.
The photograph must have been taken some time after 1951 as the car shown is a Mk.1 Ford Consul which was launched on
January 2nd 1951, costing �470 (without a heater) plus purchase tax of �196/19s/2d. Whilst this doesn�t sound like a lot of money now, in those days it was equal to a years wages for the average working man.
.. Two Locks Church
(Two Locks road)..
.. 1910 ..
.. Interior Two Locks Baptist Chapel - 1907 ..

This is a photo of George Waters shop `on the hill`, ,just before Ebeneezer Chapel on Two Locks Road, at the bottom of this hill was Nile Street. I remember once, a stubborn pony that I had been riding along the canal, took me inside the shop ... maybe the pony could smell the apples? ... anyway young George Waters had to rescue us both, as I couldn't back him out of there!! ... What a laugh, both of us wedged inside the door and Peggy Waters (George's Wife), laughing her head off .... lovely memories.Deb Evans relates:
Alastair Calder relates: This is Two Locks with the old hump back bridge; the Baptist chapel is in the background and the shop on the right was owned by Ivor Waters, when I remember it in the 1950's 1960's.
Andrew Cruickshanks relates: The old hump back bridge over the canal at Two Locks. The Ebenezer Baptist chapel can be seen in the background with the house I was brought up in (No.2 Two Locks Rd) just behind that. The shop on the right was run by Mr. Waters and his son.
This is a photo of the canal bridge at Two Locks/Llandowlais Street. Ebenezer Baptist Chapel (where I went regularly for 18 years) is in the background and the end house of the terrace was Waterworth's grocers back in the 1960s. My mum and I would walk from Ty-Coch along the canal bank to Waterworth's which was our nearest shop. I remember the railings at the side of the bridge too and the steep steps down to the canal. Happy memories!Anne Williams (n�e Woodford) relates;
... Llandowlais Street ...

.. This is a view from 1955 ..
John Jenkins relates: The building on the right in the photo is the Waterloo Pub in Llandowlais Street, and the upstairs of the building that is central to the photo was used as a barbers shop for a while, now it is Castle Forge; behind it was Doble�s wood yard.
Debbie Evans responds: Wow !, that's the old Waterloo pub on Llandowlais street, there used to be an 'offy' (off licence) in through the Brown door and to the right, you'd have to knock the glass window and Roy Williams, the owner would slide the window up, we used to take pop bottles back as kids and buy Hobo chews with the finds......ahhhhh memories eh !
Andrew Cruickshanks relates: On the right is the Waterloo Inn. The building on the left is now a forge. If you followed the lane between the two you passed Dobles wood yard and ended up on the railway line which ran from the brick yard to the Wire Works.
I also remember that the landlord of the Waterloo before Roy Williams was (Norman?) Grayson. In the 1960's, probably around when the photo was taken, I can remember going to the Off Sales and banging on the glass hatch to get his attention, to buy a pack of Chipmunk Oxo crisps or a bag of peanuts.

John James kindly contributes this photograph: Llandowlais Street, date unknown, the photo was taken from where Cwmbran Drive is now, and it shows the Wire Works in the distance. I notice that the windows of the house on the left are boarded up, so I'm guessing the photo was taken shortly before the whole row of houses on the left were demolished, whenever that was!
Ralph Williams relates: This is a photograph of Llandowlais Street taken from the bridge that used to go over the railway (now Cwmbran Drive). Just passed the big house on the right was a lane leading to Tranquil Place, a row of old cottages were their which was pulled down in the late 1930's. Some of the people living there were moved to The Crescent, just off Cocker Avenue.
Malcolm Jones relates: The photograph is of Llandowlais Street and was taken from bridge over the old railway which is now Cwmbran Drive
The shop on end of row is `Osbourne`s`That is `Denycamp`s` shop looking down Llandowlias Street taken from the old railway bridge, which now is the bridge over Cwmbran Drive.

John Jenkins relates: This is a view of Llandowlais Street looking towards Cwmbran Drive, the `Jade Garden` takeaway is on the left, the photo was taken just before the row of old houses on the right were demolished. I remember the old houses had a `coal cupboard` under the stairs in the rear "living room" as it was called then, the coalman would carry the sacks of coal through the front door down the passage way and into the living room, there he would empty the sacks complete with it's all the coal dust on the flagstone floor under the stairs.Debbie Evans (formerly Compton) relates: The photo is of Llandowlais street. The shop on the far left with the bill board was Glad and Jack Obournes, coming back a bit would have been the �Hong� Chinese and above that used to be �Ron the barber�, up a steel stairs on the side of the �Hong�. Mr. and Mrs. Smith (he was a headmaster at Fairwater school) had a sweet shop next to the `chippy` and there used to be a Betting shop next door again. I walked down this street every day of my life as I lived on Hill Street, then on Two locks road.....to get to Oakfield school, then later on Llantarnam `Comp`.
Steve Morgen relates: On the left as you look at it there's now a `Chinese Take a Way` and Albion Motors. Osbourne's shop was the last building on the left before the bridge, which is now over Cwmbran Drive.
Anne Williams relates: I'm pretty sure I recognise this photograph; It's looking down Llandowlais Street towards Oakfield. The shops on the left included a hairdressers where my mum took me once when I was little - scary times! I vaguely recollect there being a `bookies` or taxi firm and later a Chinese takeaway? Then there was the small supermarket where we'd stop on the way home from school to buy a 'jubbly' before crossing back over the road to walk past Alfa Laval and the field home to Ty-coch. If it rained or the horses were loose in the field (they were big vicious things to a 6 yr old! ) then we'd take a detour along Llandowlais Street, counting the slabs and taking care not to step on the cracks in the pavement until I reached my Nan's house at the other end ... I'd forgotten how long that terrace of houses was !

.. Jan 2008: Premises now occupied by Pheonix Taxis and Jade Garden (Chinese Takeaway) ..
Wendy Brackens relates: Up the stairs used to be a hairdressers, then a barber shop. The shop with the green sign used to be 'Hongs Chinese takeway' who had the best curry sauce on this planet. The shop next to it used to be 'Thoms' who always had wonderful sweets. The shop next to that used to be a betting shop.Towards the right hand side of the photograph (not shown) was Osbournes shop. Gladys Osbourne was one of the nicest shopkeepers in the area. We always used to pop into her shop on the way to work.
M. Thomas relates: I think from memory the photograph is the two shops opposite the old pub at the end of what use to be Nile street in Oakfield. My first house, when married in 1966 was in Nile street and if I remember right the two shops were Jones the news agents and a betting shop. I think the pub was called the Waterloo. The gardens at the back of Nile street use back onto the canal bank. Nile street was a dead end and never got sealed off; I believe Nile street was demolished in about 1970.
Norman Nicholas relates: The small shop in the middle used to be a sweet shop owned by Reg Smith a retired schoolteacher from St. Dials Junior School that used to be in Oak Street and the shop on the left used to belong to Derek Pugh the Bookmakers.
Deb Evans relates: This used to be the old `Hong` chippy, next to it used to be a sweet shop run by Mr. Smith, the Headmaster of Fairwater School and above the `Hong` used to be `Ron the Barbers`.
Andrew Cruickshanks relates: Llandowlais street the Chinese takeaway etc. Used to be Derek Pugh racing Bookmakers and I think Lewis's `fish and chip` shop. I lived about 100 yards away and used to be sent to buy the fish and chip dinner for all the family. Upstairs was a Gents and Ladies hairdressers run by brother and sister; Mike and Pat. The little shop in the middle was a sweet shop for a while. The Chinese take away was very popular with those of us who frequented the Waterloo Inn almost opposite.
Sue Smith relates: This looks like a shop along Oakfield road. I remember a good few years ago there was a Cadburys chocolate machine outside, remember the ones? It was on the wall you needed a sixpenny bit for them. Well, one day fancying a bar of 'Fourboys' and having no money, one of the boys in our crowd tapped the machine gently!!! .. well `flippin heck` the bars just kept on coming. Boy, we didn't know what to do; we had a few bars each then legged it, just incase the local `bobby` (policeman) spotted us! ...... Oh how times have changed .
Graham Skuse relates: Is it the former `Denycamp` grocery shop that used to be by the railway bridge just short of Llandowlais street and the Waterloo Pub, if I am right there used to be a barbers shop close to it that was once owned by a gentleman called Pearce, I am not sure of the spelling of Denycamp but when he left he bought a large house on the end of Cwmbran Drive that is now a private school.
.. Photograph from Checkpoint Calendar 1985 ..
John Jenkins responds: Unfortunately no name is shown or given for the pub. So for the sake of posterity I was interested to know the name of the pub, consequently I asked a friend of mine to ask his mother Mrs Nancy Thomas, (nee Pike), an ex resident of Two Locks Road and a resident in Cwmbran for 86 years. Mrs. Thomas remembers it being called "The Oakfield", which coincidentally, or maybe even deliberately, is also the name of the pub presently in Oakfield
.

.. The Railway Inn once stood on the corner of Llandowlais Street and Hill Street (now Ty Coch Way) .. almost opposite The Waterloo Inn; it was demolished circa 1976 and previous known landlords were Jimmy Strickland and Mr. & Mrs. Blanning ..
Folks don't look for a hill though, Hill Street was named after James Charles Hill, who with his partner, Mr. Forester Batt in 1860, opened the Oakfield Wire Works opposite - (the building with the blocked up windows in the photograph)
.. If you ever drank there or have a memory to share, click here ..
Lyn Griffiths responds: I have just come across all the photos here from my childhood when I lived in 33 Llandowlais street with my grandparents ,the Railway inn was then owned by Herbert and Ann Booth who was my uncle and aunt, the year was between 1963 and 1970. I lived next to Ivor Waters shop on the hill .
Great memories!!
Roger Skyrme relates: I lived on Llandowlais Street for the first 21 years of my life almost directly opposite THE RAILWAY INN. We used to catch the bus just by the inn to Newport - especially my mother's regular Friday trip to Newport for the weekly shopping. My grand-parents, sister and Aunty all lived at one time on the same road. `Notts` paper shop was just up from the Railway Inn and in the car park of the `Waterloo Inn` was where my friend Colin Jones and I would spend hours playing football, cricket or tennis against the wall. I was to spend a lot of time playing all three later in my life. Good memories....Unfortunately kids cannot do the same today.
Jeremy Purcell relates: Wow, I remember this scene so vividly! Coming up from Smith's sweet shop sandwiched between Tan and Christine Hoo's Hong Kong Chinese takeaway and Derek Pugh's bookie's shop, we (me and my twin brother) would always have to walk alongside the more perilous Saunders Valves depot side of the street (on the right) to our home in Trem Twyn Barlwm because walking along the paved side of Llandowlais Street was even more dangerous with the women having just washed and scrubbed their doorsteps; two of the said vigilant women can clearly be seen in the photo waiting to pounce! The 'Railway' as I recall was a Whitbread's pub, and just further along was Nott's newsagents/post office and George and Peggy Waters grocers shop on the end of the street next to the canal. The lorry in the background belonged to S J Bowkett and is carrying a couple of pallets of bricks from the Brickworks, the entrance to which was opposite Ebeneezer Baptist chapel.
Helen Chard (nee Booth) relates: My grandparents (Herbert and Anne Booth) ran the Railway Inn Hotel from early 1960s until the demolition of the Hotel in 1976. What I remember, it was huge, there was at least 10 bedrooms and my grandmother used to do bed and breakfast mainly for workman that came into the area. There was a big dance hall there as well, although it was very rarely used except by me I played in there all the time, I used to go behind the bar and the locals used to talk to me it was great. I spent most of my childhood there I went to Two Locks nursery just down the road which is still there to this day. I can remember the sweet shop, also opposite the Railway Inn was a cake shop, I can still smell that shop it was delicious I used to have iced buns they don't make them like they used too. There was a milk yard across the road by the Waterloo pub I seem remember buying milk from there. I can't find any photographs of this old place so it was such a surprise to see it again all my memories came flooding back, thanks.
Sarah MacGilchrist relates: My Great grandfather, Stephen Edward Salisbury Baker and my Great grand mother, Olive Beatrice Davies married in 1906 after migrating to Cwmbran from Somerset at the turn of the 19th/20th centuries. they went on to have six children and lived at the Star Inn. Stephen appears in the 1901 census as an "Inn Keeper" and also in Kelly's Directory as a "Beer retailer" and his address is given as Canal Side, Oakfield. He seems to have come to Cwmbran with one of his cousins Mr George Hutchins who was the landlord of the Railway Inn.
Carol Shepherd relates: My grandfather Henry Townsend was born in the Railway Inn, Oakfields Llantarnum 1889. His father Henry Townsend is listed as Beer House Keeper. The family were connected to Nolans and Neale.
Ralph & Margaret Williams from Pontnewydd relate: You are looking up Llandowlais Street from Oakfield Road. On the right is Whiteheads Wire Works. The big white building on the right was The Railway Inn. The road carried on up the street and over the Canal. They used to run a Death Benefit Club in the Railway Inn, you used to pay so much every month then who ever died, they paid so much to the family. At the end of the year, what was left was shared out to the members.
John Jenkins formerly of Llandowlais Street recalls: Nott�s shop was only a little further up the road from where I lived and my father would send me there occasionally (circa 1951) to buy him razor blades, (they came in a green packet and were called 7.0 Clock Blades). The shop sold tobacco, sweets, and newspapers etc.
Graham (Ianto)Skuse recalls: I well remember the Railway Inn, if my memory serves me correctly Cwmbran Town F C were first founded in the Pub, Knott's shop just a little further up the road holds more memories I well remember a large lady working there, was she involved in the scouts? I am not sure if Mr. Knott (Edgar ?) ran two shops at the same time but when he had the shop in Oakfield I worked for him as a paper boy for a wage of Seven and Sixpence a week, and boy was I grateful for it, I seem to remember that he also had a daughter who's name has disappeared from my mind but I am sure that someone will remind me .... Aye, good days long gone.
Roger Skyrme responds: I lived on Landowlais Street for the first 21 years of my life almost directly opposite THE RAILWAY INN. We used to catch the bus just by the inn to Newport - especially my mother's regular Friday trip to Newport for the weekly shopping. My grand-parents, sister and Aunty all lived at one time on the same road. `Notts` paper shop was just up from the Railway Inn and in the car park of the Waterloo Inn was where my friend Colin Jones and I would spend hours playing football, cricket or tennis against the wall. I was to spend a lot of time playing all three later in my life. Good memories. Unfortunately kids cannot do the same today ....

Peter Lloyd
relates: This is a photograph of my uncle Gerald Bishop, who in September
1972 was presented the BEM (British Empire Medal), by Commander in Chief-
Naval Home Command - Admiral Sir Horace Law aboard HMS Victory in Portsmouth.
Gerald originated from Llandowlais Street Cwmbran
.. Cameron - High Class Meat Purveyor ..

.. Mr. Cameron stands outside his Butchers shop in Commercial Street, Old Cwmbran , his dog looks on `attentively` ..
..This photograph appeared in the Checkpoint Calendar 1987 ..
Allistair Howard relates: Don Cameron's butchers shop, was just left of the canal bridge as you came up from Abbey Road.
Kenneth Beake relates: This shop was above the tow path of the canal next to the Half Way pub, the casting in one of your photographs was beneath it, Always had sawdust on the floor and you stepped out into the road - no pavement.
.. An Iron `bridge spar` cast at Cwmbran Iron Works 1847 ..
Bill Barton relates: Cameron's was where the pub car park is now of the the Half Way pub, in Old Cwmbran. We had our meat from him in the nineteen sixties ... he would cut a joint from the carcass on request.
Ralph and Margaret Williams relate: Don Cameron outside his butcher's shop, which was on the bridge in Old Cwmbran. You can see the Halfway Hotel on the right of the photograph. The old bridge was where the new bridge goes over Cwmbran Drive. He had a brother who had a Butchers in Victoria Street, his name was Len.
Andrew Cruickshanks relates: Cameron's butchers shop was on the bridge over the canal and railway in Old Cwmbran. The roof of the Half Way pub can be seen in the back ground. When I used to go there with my Mother in the early 1960's it was run by two brothers Don Cameron (forgotten his brothers name). Don was always chopping the animal carcases in the shop which had a floor covered in sawdust. His white apron was always covered in blood. They also had a butchers boy who delivered our meat on one of those bicycles with the big pannier on the front. The `bill` was always covered in blood as it was attached to the paper meat wrapping by a special wire pin which went on into the meat joint.
Terry Griffin relates: I lived on Ton road when I was a boy, I now live in Calgary, Canada. My father worked for Mr. Lewis, who had a shop selling hardware and clothes on the old canal bridge in Cwmbran. My sister Joy worked for Mrs. Lewis.
The shop was opposite `Cameron the butchers` (also gone now) and Half Way pub, My grandmother lived in Wedmore house part of Lambourne farm, owned by the Dado's. My Grandmothers name was Akerly
Had many good times back then.
Mrs. Winifred Lewis (nee Davis)
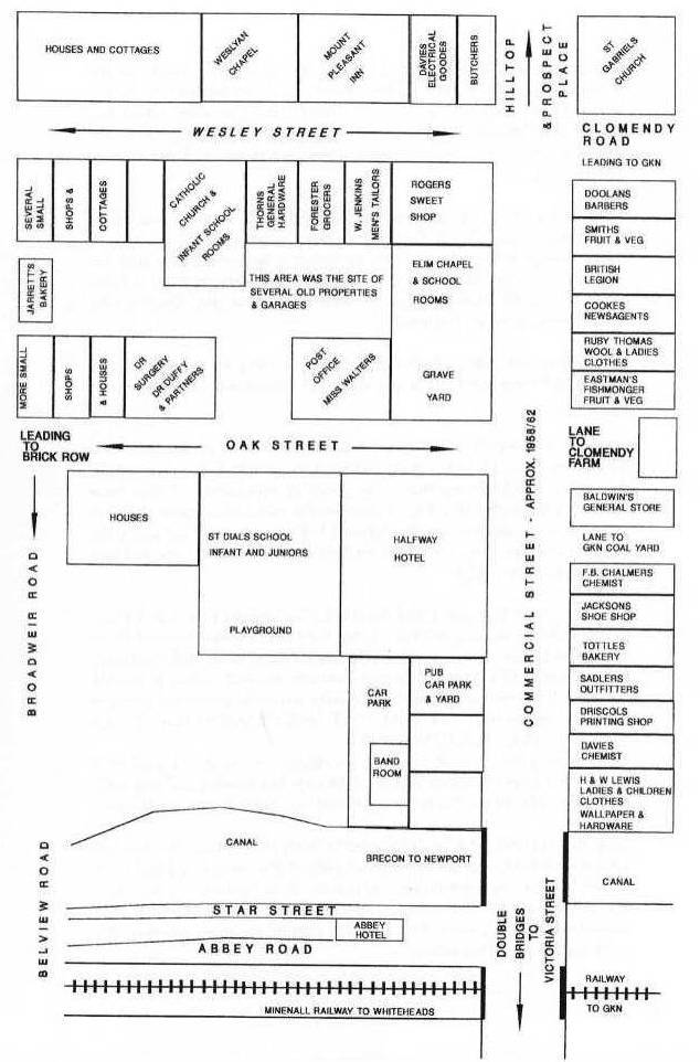
This map has the names of shop keepers trading in Commercial street area just before the start of the New Town Centre. At first the first shops to open did not effect trade too much-few of the traders moved to the new shops. One or two opened a new branch until they eventually moved out of the village.
By 1965 many of the old names were starting to close down mainly due to loss of trade or simply retired. commercial Street was only half of the shopping area. Victoria Street was where the banks were located. there were four banks at one time-one by one they closed and relocated in the Town Centre. Victoria Street was the first street visitors to the village entered. The railway station was at the top end of the street at it's junction with Commercial Street. The bus stop was also in Victoria street. The picture house, run by the Davies family, was here as was the Rose and Crown Pub and the only chip shop. There were several grocers in the street. W.T.C.Jones which was one of the last shops to sell food - they remained trading long after the arrival of the supermarkets.
The Police Station was a large building as were the Council Offices - situated at the lower end of the street. From the early sixties the bus company started to run through Commercial Street, until then they passed through Victoria Street onto Forgehammer and onto Pontypool. I myself had been born in Commercial Street, No.7, which was owned from the early 1900`s by my parents William and Mary Davis. They owned shops which were later sold to become the British Legion Club.
My Mother bought land at the bottom of the street, which at that time ended at No.29.they built three new shops. The largest No.35 they moved into themselves. From 1948 I took over the shops with my husband Herbert Lewis. His family also ran two other shops in the village. We closed in 1969.
By this time new traders were moving into the shops which once supplied food for Cwmbran - now hairdressers and insurance offices. Road widening had demolished many small shops in Wesley Street, Abbey Road and Oak street. Many small shops which had been housed in people's front rooms were now turned back into private houses.
Family names were going fast. Jarret's the Bakery. Eastman`s, Mr. and Mrs. Jenkins who both had shops in Wesley Street. Alderman Bill Brown the undertaker. Tottle and Boddenham`s remains but it is now called South Wales Ironmongers.
Names which are now replaced by Boot's, David Evans's, Top Shop etc. I was happy to have been part of the Old Cwmbran. We both have so many happy memories of the old village.
.. Old Cwmbran circa 1958/62 ..
John Berry relates:- When I came across the Cwmbran memories of Mrs Winifred Lewis. I have to say what I read was fascinating.Born in in the cottages in Wesley Street myself I remember Cwmbran village just as she described it, the Cwmbran map is a little out in scale but it is mostly all there, it is a wonderful record from memory.I further recall Clarks double fronted shop opposite the Wesleyan Chapel in Wesley Street, Dr, Fleming as the GP at the surgery in Oak Street prior to Dr, Duffy and My mothers brother Jack Jenkins opened the `fruit and veg` shop in Commercial Street prior to Smiths. The Smiths had a daughter, her name was Beryl, I wonder where she is now???
Mrs Winifred's map brings back working memories for me regarding the Elim Chapel, whilst employed with British Gas I recall removing the old solid fuel boiler that was used for heating the Chapel in winter and replacing it with a new gas installation and gas fired boiler, this would have been in the early sixty's. Prior to this conversion work there was always piles of Coke (fuel) piled up outside the Chapel boiler house.
1st February 2010
Terry Price relates: Just reading through your site on Cwmbran, brought memories back of the 'flea pit' cinema on Saturday mornings, Roy Rogers, Tarzan etc. I was interested also by G.K.N. Girlings etc .as my family were `Price the printers` on Coronation road and did much work for the local industries. Some of you may remember the visits of the American bands to the Girling social club!
I remember well my days at "St Dials". I think that my grandfather started his printing business in the same street as the school? When the printing business closed my uncle Eddie moved on to the Free Press in Pontypool.
Back Row:- W. Jones, A. Davies, A. Walliker, W. Smith, E. Morris
Middle Row:- W. Jones, R. Rees, E. Petheram, H. Maggs, J. Hewings, F. Hewings
Front Row:- R. Clapp (mm), T. Burns, (Lieutenant), F. Wood (Captain), R.D. Owen a.i.c (2nd Lieutenant), G. Hollister, E. Pike
David Compton relates:- The Cwmbran Chemical Company works was situated, I believe, on what is now Cwmbran Stadium, this photo belonged to my grandfather, Herbert Maggs. I recall him telling me that when Cardiff City won the F. A. Cup in 1927 he was working afternoons; his Manager walked up to him and his colleagues and said " your team has won the F.A. Cup! ".
John Jenkins formerly of Llandowlais street, now residing in South Africa responds:
I�m convinced that the man in the front row of the photo, Mr. E Pike, is �Pike the Cobbler� who worked from his house in the 1950�s and maybe even later, his terrace house was in Two Locks Road next to a shop which also acted as a bus stop opposite Two Locks Nursery, can anyone confirm that?
.. Cwmbran Chemical (Vitriol) Works, off Victoria Street, Old Cwmbran ..
![]() |
![]() |
|
Cwmbran Chemical (Vitriol) Works 1920`s Photograph originated in the Checkpoint Calendar 1986 |
Cwmbran Chemical Workers in the 1920`s Photograph originated in the publication: The trains don't stop here anymore ... |
.. Vitriol works .. ref: Book entitled: In those Days ..
John Jenkins: Although called the Cwmbran Chemical Company it was generally referred to by the locals simply as `The Chems`, the works is shown on ordnance survey maps of the period as the Vitriol Works as it manufactured sulphuric acid.
It was established on or before 1882 as its shown on an ordnance survey map of that date, (ref www.old-maps.co.uk).
At one stage it employed 60 workers but it closed circa 1930 as the sulphuric acid was being produced cheaper in Avonmouth, (ref; Community Project Centre book �In those Days�).
The derelict remains of the works building were large and substantial, all were painted or coated with a black substance and were possibly made of concrete, the buildings and the adjoining waste area was a favourite playground for kids during the 1950�s.
A stream ran through the grounds and was clean on entering but was bright orange on exiting having I suppose been discoloured after passing through the acid polluted ground, the stream was referred to by the locals as the Acid Brook.
The buildings were demolished circa 1960 using explosives and pneumatic hammers, I know this to be fact as I was there as a youngster when a workman offered me �a go� with the pneumatic hammer, I couldn�t resist but I came within half inch of losing a couple of toes.
Contrary to popular belief the main buildings were not situated where the Cwmbran Stadium is but approximately 300 yards further north on the other side of the present Henllys Way.
Ref; Cwmbran New Town Book:
Around 1860 James Gibbs established a Vitriol Works, in 1911 it was taken over by Cwmbran Chemical Company and in 1926 it was merged into the Imperial Chemical Industries( I.C.I.) Group. At it's peak the plant produced 450 tons of Heavy Sulphuric acid.
A worker remembers: `I worked in the Chemical works for 11 years until it closed in about 1930. It was a good place to work too. It was process work, continuous like, there were three of us doing three jobs only we had to work weekends and all see. It was well paid, I got �4.1.8 only I had to work process work for hat, They made Sulphuric Acid. There were two big tanks down where the Stadium is. They closed it because they found they could get it more cheaply from a place at Avonmouth than they could produce it themselves. There were about 60 men working there. The hardest part of the job was when I had to carry a jug of acid for testing` (originated: The trains don't stop here anymore ...)
.. In 1931 the chemical works, controlled by I.C.I. (Imperial Chemical Industries) since 1926 closed due to competition ..
John Jenkins relates: The Vitriol Works manufactured acid, it was located north of where Cwmbran Stadium is now and east of Abbey Road. After it closed in the 1930�s the land where the now derelict buildings stood was referred to by the locals as the `Chems`, (short for Chemicals), and the clear mountain stream that ran through the land became orange in colour from the polluted ground and was known locally as the Acid Brook`. Later the clay on the land to the east of the site was used by the Star Brick Company who operated from Llantarnam Road, then in the 1950`s/60`s by Cwmbran Council as a household rubbish dump, and finally for Cwmbran Stadium.

The Olympia cinema was fondly remembered as the `Flea Pit` and was situated next to the Rose and Crown public House on Victoria Street. The film showing at the time, going by the poster next to the entrance, was the 1955 M.G.M. film `The Blackboard Jungle` which starred Glen Ford, Anne Frances, Vic Morrow and Sydney Poitier. The film was also credited with sparking the `Rock and Roll` revolution by featuring `Bill Haley and the Comets' playing `Rock Around the Clock` over the opening credits.
Chippy Chapman relates: Obviously this is the cinema in Old Cwmbran. Two memories of this place are;
Firstly, we used to climb the fence opposite the Abby Hotel, run across the railway line up over the fence which led to the gents toilet for the cinema and then we would walk in and sit down and see the film free.
Secondly the usherettes went home at nine p.m. so only the projectionist was on duty and one particular evening he had to get the police in as we were running outside gathering snow and there was one almighty snowball fight inside the cinema [ha ha ] I wonder what would happen if you did that today?
Karen Selway (Coed Eva) relates: Affectionately known as the `old flea pit` cinema. I remember being taken by my mum to watch Disney's Jungle Book here and having Maltesers to watch with... my very first time at the cinema. Saw loads of films here until the new one in the town centre opened .. No not the Vue the Scene 1.2.3 I think it's called. My best flea pit memory though is watching Sleeping Beauty ... I have it on DVD now and all three of our children have been terrified by the wickedness of Maleficent .......' I know you I walked with you once upon a dream'. Ahh ..Happy days!
Tuarita Lawson (Bristol) relates: This was the cinema in Old Cwmbran, saw many a film there including `Sound of Music`, `Snow White and the Seven Dwarfs` and `Saturday Night Fever` !!
Barbara Thompson (New Zealand) relates: The photo is of the cinema in Old Cwmbran, as we always called it. I vaguely remember my parents taking me there in the mid 50�s to see the Wizard of Oz, I would have been about 6 I think. It was the first of many visits to the �fleapit�. The last time I went there would have been late 60�s to see �Jesus Christ Superstar� .
Lawrence Skuse (Thornhill) relates: This is of course, the Olympia in Old Cwmbran next to the Rose & Crown, aka "The Flea Pit". It was very popular in the eartly 1960s, because they weren't as fussy as the White Rose in Pontnewydd about age. They used to show a lot of 1940s Universal horror films, the Dracula series, The Werewolf, Frankenstein - I saw them all there, as well as the more modern Hammer horror films. All you had to say when asked was "16" and no matter how blatant a lie this was, they would sell you a ticket. It was quite scruffy in comparison to the White Rose and there is a story which I can't verify, that one lad was bitten by a rat and bought off with free tickets, so as not to complain,
Mel Hillman (Yeovil, Somerset) relates: The old Olympia cinema in Victoria Street, Old Cwmbran was right opposite the old police station so I saw it every day for many years. I only watched films there once or twice - the old White Rose in Pontnewydd was closer to home. I did use the bus stop just out of view on the right every day to catch a bus to the old gasworks bus stop to get home until I obtained a 'banger' on my 18th birthday !
Graham (Ianto) Skuse (Isle of Guernsey) relates: Great great memories, 9p seats, or (if you were trying to impress a girl) 1/9 sneaking in through the back door, listening to 'Tiller Griffen' telling us how the film would end, then over to the 'chippee for a tanners worth of chips (try that today) or in later years a pint in the Rose & Crown, great great nostalgic memories, keep them coming.
Ralph and Margaret Williams of Pontnewydd relate: Prices started 7p first 2 rows on the benches, then 9p, then 1s 6p, the back rows were 1 shilling and 9 pence. Those were the days. You had to watch out for the manager, we used to call him " Chocolate", I never knew why. The McCarthy girls were the usherettes.
Anne Williams (West Mids.) relates: That�s the flea pit in Old Cwmbran . The screen used to be sewn together in patches ! I have no idea when it finally closed , but last film I saw there was in 1977, Saturday Night Fever .... happy days !
Sharon Jordan (Greenmeadow) relates: I remember watching the `Cat from outer space` there !
Kay Pedrosa relates: I was looking at the photograph of the "flea pit" and thought you may like to add another little titbit of info .... My grandmother - Dorothy Porter (nee Jones) was the piano player for the silent movies that they had there.
Andrew Cruickshanks relates: I spent many a Saturday morning queuing along that wall with my three penny bit in my hand waiting for it to open for the kids films. I remember the original Batman (not Adam West) and Jungle Girl episodes in black and white which always left you with a cliff hanger so you would go back next week to see what happened.
I also saw my first James Bond film there, From Russia with Love (1963).
Colin Bowen relates: In the 1940s 1950s we would go to the Olympia on a Saturday morning to see Flash Gordon it was on every Saturday for along time. At the back of the cinema was the male toilet right next to the railway line in Abbey Road; if a train went by you could hear it in the cinema. When the film finished if you had any money left you could go across the road to Harry Summers for an ice lolly; if you had more than 3d. left, you could have chips ! A long time ago ... 50 odd years have slipped away.
Lawrence Skuse relates: This is the "Flea Pit" in Old Cwmbran, next to the Rose & Crown. It was much favoured by Pontnewydd children, as they had a much more lax attitude to age limits for horror films than the 'White Rose' in Pontnewydd. There we could watch early Hammer and older Universal films such as 'Curse of the Werewolf'' and 'Dracula' merely by giving a patently untrue assurance that we were over 16. I do remember my father taking us there to see 'The Alamo' on its release.
Stories about the place were always circulating, not necessarily true, but we liked to believe them; "a kid was bitten by a rat last week, but they've given him some free tickets to keep him quiet", "a piece of ceiling fell on someone's head there". Whatever, the White Rose cinema in Pontnewydd, was always considered a "better class" of establishment!
Judith Bidgood from Canada relates: I believe this is a photo of the old movie theatre we used to call the `Flea Pit` in Old Cwmbran. As a child I remember going there on Saturday mornings to watch cartoons, and cowboy and indian movies.
.. Oak Street .. .. Commercial Street ..
.. Oak Street early 1900`s ..
.. Victoria Street early 1900`s ..
John Jenkins relates:- This is a view of the Conservative Club entrance taken about 1970, the building was situated at the end of Oak Street, Cwmbran and was originally a school, the inscribed stone built into the wall says, British School 1884 and pupils had to pay a 1d a week for tuition, ref. Cwmbran Projects book �In those Days� page12.
.. Wesley Street ..
Wesleyan Methodist Church - Wesley Street early 1900`s
.. The Church is now Wesley community Centre (2007)
John Berry relates:- I was born in Wesley Street, Cwmbran, 1936. just about opposite the Wesleyan Methodist Church. In those days there were six small terraced properties between Clark's shop and the Catholic Church. My mother's sister and family lived in number six and I lived with my mother, Gran and brothers in number five, the property was over crowded and we were re housed as soon as possible, my father was away during World War Two.
.. 1910 ..
Hugh Price contributed this rather special Invitation: The Mrs. Mould referred to was my Great Grandmother, Jane Mould, who then lived with my Grandmother and her family on Llantarnam Road. She died in January 1921 aged 83 years and is buried in Cwmbran Cemetery.
Stephen relates:- Jarrett's shop was on Wesley Street. I remember she used to have a chair for us to stand on to reach the counter and pick the sweets we wanted
John Howard of Maes-y-Rhiw, Cwmbran relates: The Crescent and Cocker Avenue, viewed from the Pentre Hill circa 1935'. The Crescent is incomplete, still awaiting construction of 9 houses (House Numbers 21 to 55). Hollybush Corner and Glan-y-Nant Farm can be seen in the foreground, it was farmed by Ron & Audrey Dando. In the photograph the Two Locks housing estate is conspicuous by it's absence- 20 years would elapse before that housing development commenced.
.. Court Farm ..
LLantarnam, encircled with trees of a section of the original Cwmbran (Crow habited woodlands) was about ten centuries old.
The eve of autumn 1955 being the last chapter of the farmhouse barn, meadows and orchard.... bulldozers and crowbars gave the final punches bringing the Court Farm down to rubble in order to make space for a new housing estate and roadway.
Since the days of Howell ap lorwerth, maybe earlier, the site, near the `Glade of the Cross` on the bank of the Afon Llwyd the (stone breaking river) was a sphere of history and geology.
Huge beams of oak from the ancient Cwm and very wide walls were features of the building, one could hollow a big canoe from the main kitchen beam.
The stones, mainly pudding-shaped, were silica clay mixed with little pebbles, kneaded by the Afon Llwyd and naturally baked hard on its sunny banks. In the first stage the Afon had ripped the clay off its banks higher up in the valley, then in the rolling in
The fast waters, the soft clay (pudding) gathered the small pebbles (currants).
While demolition of the Court Farm took place I saw the 'historical curtain` rise to reveal an age-long mystery.... behind the fire-place in the main kitchen was the 'secret room1, five foot wide and thirteen feat high, where, it is thought, Roman Catholic Priests hid during the persecution.
There was a well in the cobbled yard. It could have been a relic of the Roman or Druid era.
The large barn was at one time a Cwrt (Court of Law), and among the residents at Court Farm were the Lawrence family; of whom two gained high distinction, Lord Trevethin, Lord Chief Justice of England, known before as Sir Alfred Lawrence-and Sir Walter Lawrence, Baronet, secretary to the Viceory of India.
.. Contributed by Gill Morris and composed by her late father... how was a reporter for the South Wales Argus ..
.. Oakfield shops ..
John Jenkins relates:- This photo was taken on the corner of Green Willows Road and Croeswen in Oakfield Park, and shows the shops newly built circa 1957. The first tenants or trade from the left of the photo were, the Co-op, Notts the newsagent and tobacconist, a haberdashery, a butcher, a greengrocer, and finally the Home and Colonial. On the right of the photo but out of view is the Oakfield Pub, built after the shops circa 1960.
.. Oakfield Shops April 2008: Newsagent - Creations (Hair & Beauty Salon) - Oakfield Cantonese Take Away - Oakfield Mini Market ..
Ian Spencer responds:- The haberdashery store was my Dad's Drapery shop. It was called "J. Spencer and Sons (Fabrics) Limited. I - being one of the sons. My father had another shop in Maendy Shops, West Pontnewydd, another in Ventnor road, Old Cwmbran, and one more in Croesyceiliog ... All of the same name.
A SPENCER'S advertisement appeared in the CWMBRAN NEW TOWN ADVERTISER January 14th 1960
.. The Oakfield Public House .. April 2008 ..
.. David Evans from Melkbostrand, South Africa kindly contributed this photograph via John Jenkins from Gulang, South Africa ..
This photograph shows the 2nd Llantarnam Cubs taken in Court Farm circa 1953, the road to the left is the present Brangwyn Avenue and to the right Hogarth Close, to the rear of the photographer would be the pre-fabricated Court Farm Community Hall.
.. Oakfield Road - Prefab residents -`street party` .. 1951/53 ..
.. Contributor John Moxham ..
.. Contributor John Moxham ..
.. Contributor John Moxham ..
.. 1929 Oakfield Rangers Football team ..
John Jenkins contributes this photograph and relates: `The only person I'm able to name is my uncle, Gerald Bishop BEM, who is second from the right in the middle row.`
.. Oakfield Football Team under 11`s ... 1969 ..
Sean Cahill contributes this photograph and relates: John Hopkins is on the extreme left of the photo, his son Adrian to the right of the Goalkeeper, me kneeling on the far right below his father and my Granddad, Dick Hopkins (all placed as you look at the photo). Dick Hopkins lived in Coronation road (where the police station is now sited) and played football for Newport County.
.. St.Dials Rugby Team 1948 ..
Glenvill Skyrme contributed this photograph, which includes his father, Russell Skyrme,who is sat on the ground to the left of the picture.
Sean Cahill relates: John Hopkins is the captain holding the ball. He later went on to play for Wales at U15 and latterly played cricket for Girlings.
.. St.Dials Football Team 1966/67 ..
Ron Cooke kindly contributed this photograph of the football team he once played in, back in the late 1960`s; it was taken outside the old canteen opposite Old Cwmbran Park. Some of his fellow team members he remembers are:-
Back Row (L-R) Martin Gibbons, ? , Steven Chamberlin, Charloton (that was his nickname), ? , Ron Cooke
Front Row (L-R) ? , Wayne Young, Dennis Hurley, ? , Ian Purcell.January 2012 Granvill Waters responds: Wonderful site, being an old Cwmbran lad, I enjoy seeing the old sites....anyway...under the heading 'Old Cwmbran' you have a picture of the St Dials Football team 1966/67......the Goalkeeper in the back row second from left, in between Martin Gibbons and Steven Chamberlin is me, Granville 'Granny' Waters... I had more hair then lol.. (laugh out loud)
The Manager was Mr. Cox.
.. The football pitch now has houses built on it ..
.. Cwmbran Wesleyan Cricket Club.. 2nd X1., 1911 ..
Back Row L to R :- I. Jones, F. C. Scott, E. Jones, G. Nash, A. Kelly, G. E. Bert.
Front Row L to R:- W. G. Stimson, H. C. Carver, G. Prangley, A. H. Couzens (Capt.) C.B. Fry, R. T. Rees, T. Thomas, W. Fry.
.. Pen y Waun Congregational Church- Waun Road - Old Cwmbran .. (now demolished)
.. The Chapel on the left was originally known as the `Congregational` Its first use was a farmhouse and then became a Sunday school dating back to 1760 ; The Church alongside opened on January 17th 1907 and demolished in 1980 ..
.. Cwmbran Chapel -photographed in 2007 ..
.. Cwmbran Pen y wain Harriers ..
Back Row :- W. Appleby, A. Stead, J. Burke, H. Ross.
Third Row :- G. Petherant (committee), T. Elsmor, H. Granger, M. Senior. M. Petheram, E. Stead, S.L.Duffy, ? (committee)
Second Row :- H. Hamm, E. Howard (Captain), M. Laughton (president). A. Bevan (secretary), J. Kennedy.
Front Row :- J. Smith (trainer), B. Fry, H. Stiff, W. Smith., J. Iles., P. Beech (committee).
Allistair Howard :- my cousin who resides in Cwmbran sent me a copy of this photo of Cwmbran Pen-y-Waun Harriers 1906-07, photo courtesy of In those day's publication. The reason being is that my father`s cousin (Edwin George Howard) is featured. Edwin was the father of Roland Reginald Howard, the Esso garage proprietor, which was once situated next to Pontnewydd Workingmens Club.
Andrew Cruickshanks :- notes his Great Uncle, (Peter Beech) appears on the photograph.
.. The photo was taken in the field, where now stands Ysgol Gymraeg Cwmbran Infants School (3 Bears) on Henllys Way .
.. Cwmbran Football Club ..
(Season 1904-5 )
Back Row ;- L. Jordan, W. Thomas, A. Saddler, G.P.Jones, J.B.Jones, T. Waites, J. Tamplin.
2nd Row :- T. Bingham, C. Holloway, J. Jones, R. Jennings, B. Dewfall, W. Jones, W. Williams.
3rd Row :- H. Evans, P. Cunningham, J. Leyshon, D.M.Thomas (Capt.), W. Gay, T. Spillane, A. Sutton.
Front Row :- C. Hewings, R. Baker, W. Lawler, T. Hutchins.
.. Photograph contributed by Torfaen County Borough Councillor B. John Cunningham MBE KSG ..
- April 2010
Kathleen Smith relates: I live in Canada, never been to Wales, nor the town of Cwmbran there, but I will try my best to explain my interest.
My Grandparents, Thomas King McGuire and Ethel Mary (Willett) McGuire were married on October 24, 1901.
They had four children, Thomas King, Owen King, John King, and my mother Kathleen King, the youngest. They were all born at the Abbey Hotel in Cwmbran Wales, which apparently my grandfather ran at that time, and we were also told that he had been Mayor of the town for a period.
.. McGuire Family portrait ..
My mother - Kathleen King McGuire - was born December 27, 1909. In 1911 my grandmother and the four children, accompanied by her maiden sister Alice Willet, emigrated to Canada to join my Grandfather Thomas ,who had come over the year before and built a house in Chamberlain Township on "crown " land near Englehart Ontario which is about 375 miles north of Toronto Ontario. He literally carved a homestead out of the wilderness. When Granny first saw the conditions, she wanted to return immediately to Cwmbran!
Being my mother's namesake - my name is Kathlen Alice, the Kathleen after her, and the Alice after "Aunty" (as we called her) Alice Willet.
.. I am in possession of a china cup and saucer with my mother's birth information inscribed on it in gold lettering ..
Kathleen King McGuire * Abbey Hotel * Cwmbran
Born 27th Dec 1909
.. Abbey Hotel - Coronation Day Celebrations - 22nd June 1911 ..
.. `Aunty` Alice Willet .... (Gentleman unknown)
Kathleen relates: I have a small set - Two books held in a small case measuring just 1&1/4 inches x 2 ", x 2&1/4 " - One is Hymns, A&M (Ancient & Modern}, and the other is a book of Common Prayer, from the Church of England - they were owned by Aunty [ Alice Willett} Strangely there is no date in either book, but since she arrived in Canada in 1911, they must be 100 years old.
.. The Abbey Public House/Hotel ..
This pub demolished, in the late 1970`s, was once a popular `watering hole` on Abbey Road - it was also well known for the Monkey Puzzle tree within the garden.
.. Abbey Hotel, Abbey Road Cwmbran ..
Paul Edwards relates: My Grandfather Raymond Teall ran the Abbey Hotel in 1962 & 1963 (those two years I have confirmed but he may of been there longer) Does anyone remember him?
Garnet (Chippy) Chapman relates: I spent many a happy hour there; I once went in on a Friday night and came out on Sunday morning!!.. if so click here ..
John Jenkins recalls: The first meeting of the Cwmbran Gun Club was held upstairs in The Abbey Pub circa 1969
Allistair Howard: I have a query concerning the name of Belle Vue Road, my Grand Parents used to live at number 21 and I have a census form of theirs and it gives the name of Belle Vue Road as Bettws Street, the census is of England and Wales 1911. I wonder if anyone can confirm that this was the original name of Belle Vue Road?
Query answered:
.. Contributed by John Howard of Maes-y-Rhiw, Cwmbran ..
Belle View Road, photographed July 2007,viewed from its east end on Abbey Road.
Since the demolition of 4 dwellings that met with Abbey Road, only 7-dwellings (Nos 5-11) remain of the original Bettws Terrace and No.11 (Alexander JFG Howard�s house) marks the interruption between the old and later Edwardian-styled new row with 34 dwellings, built circa 1910. Bettws Terrace became integrated with the newly built Bettws Street and was re-numbered changing Alexander�s house from No.11 to No. 21. The street changed its name once more to Belle Vue Road at sometime between 1911 and 1917.
My cousin Allistair Howard�s grandfather Alexander JFG Howard lived with his wife Elizabeth and family at number 21, Bettws Street, Cwmbr�n. The street had been extended in about 1910 when the original Bettws Terrace was integrated with it and dwelling Nos.1 to 11 thus became Nos.1 to 21 odds, continuing on to No.77 at the end of the new row. This correlates exactly with the 1901 Census Nos. 1-11. The last house in the row was Alexander�s at 11, Bettws Street. Ultimately the street became known as Belle Vue Road at sometime after the 1911 Census and before 1917.
Bettws Terrace || 1 2 3 4 5 6 7 8 9 10 11 ||
Bettws Street || 1 3 5 7 9 11 13 15 17 19 21 || 23 25 27 etc. onwards to 77.
My theory with regard to the above renumbering has just been given substance through the recent release of the 1911 Census Books or Enumerators� Summaries.
A comparison can now be made of the dwelling number and tenants� names in Bettws Terrace / Bettws Street respectively between the 1901 and 1911 Censuses.
My theory with regard to the above renumbering has just been given substance through the recent release of the 1911 Census Books or Enumerators� Summaries.
A comparison can now be made of the dwelling number and tenants� names in Bettws Terrace / Bettws Street respectively between the 1901 and 1911 Censuses.
1901 1911 1901 1911
Bettws Terr. Bettws St. Bettws Terr. Bettws St.
No. 1 Hart No.1 Hart No. 7 Chamberlain No. 13 Chamberlain
No. 2 Aspland. No. 8 Barrow
No. 3 Muskell No. 9 Muldooney
No. 4 Brooks No. 7 Brooks No.10 Thomas
No. 5 Hughes No. 9 Hughes No.11 Howard No.21 Howard
No. 6 King No.11 King
Alistair Howard �s brother, Brian deserves credit posthumously in resolving this issue. It was just four months before he died that Brian intimated to me that Bettws Terrace became known as Belle Vue Road. Brian and his amazing knowledge of the old Cwmbr�n village and of its families is sadly missed.
.. Eddy Thomas and his dog `Bell` ..
Alison Pattimore relates:- This was Eddy Thomas`s shop on the corner of Abbey road and Belle Vue road. I used to live in Belle Vue in the 1950`s and remember Eddy who was loved by all the kids and people of that area, the picture was taken when they were clearing Abbey Road for the houses that are there now. Eddy tried to save his business by barricading himself in his shop, which was sadly a hopeless cause. The picture of Eddy and his dog brought back many memories of a lovely man and wonderful time.
Andrew Cruickshanks relates:- That's probably one of the last buildings left as ABBEY ROAD was being demolished. Opposite was the main railway line which had been closed before this photo was taken as is now Cwmbran Drive. I spent many hours as a child playing on the derelict line looking for slow worms which could be found there.I cannot remember who owned the shop in the picture but further up the road towards the Abbey pub and Cwmbran there was a watchsmith`s shop which I believe was owned by Mr Jones.
Allistair Howard relates:- The photo of Eddie Thomas brings back a lot of good memories, I was born in Abbey Road No8, as it has been said Eddie`s shop was No.1. Abbey road was in three blocks or rows of houses. There was another shop at No.10 that had several different owners two I remember being Villers and the other Taylors, between this shop and the next row in Abbey Road was a walk through leading to Belle Vue Close. The first house on the second row was at onetime a vets. The first building on the third row was a garage followed by one or two houses then an alleyway that led to a couple of cottages; after the alleyway was, as Andrew Cruickshanks pointed, out a jewellers and was owned by Mr. Jones, then just after `Jones the Jeweller` was a cafe and then my local watering hole the Abbey Hotel ........ memories eh.
Elizabeth Haynes relates:- The shop was located at the bottom of Belle Vue Rd in Old Cwmbran. The area now has a row of houses there called ABBEY ROAD. Directly opposite it was an area of grassland that us kids used to play (and smoke) in. This grassland went under the bridge and you could climb through the fence into the Cwmbran Stadium. This grassland is now part of the Cwmbran Drive. The bridge still runs over it.
The Abbey store was a damp dark little shop. All the sweets were damp but very cheap. Looking at the picture, if you continued up past the roughland you came to the Abbey Pub. The pub had the famous "monkey tree" in it.Sarah Knell relates:- That used to be the `Sweety` shop at the bottom of BelleVue Road. The old railway track was opposite and served as a shortcut to `Kwik Save` where I worked in `Bakerboy` every Saturday.Ralph Williams relates:- The Abbey stores was No 1 Abbey Road. The chap in front of the stores was Mr.Eddie Thomas. I lived in Bellevue road when I was a boy. We used to buy our sweets from there.
John Jenkins formerly of Llandowlais Street, now residing in South Africa relates:- The shop was on the corner of Abbey Road and BelleVue Road, in the early 1950`s it was a Green Grocers.
Catherine Lewis relates:- The picture on the site is the old Abbey Stores which used to stand on the green area at the bottom on Abbey Road and BelleVue Road in Old Cwmbran.My house and driveway is exactly where that old shop used to be.
.. Abbey Road 2006 ..
.. Cwmbran Celtic Football Team 1927-8 ..
Back Row:- J.Foley, W. Slade, M.Hurley, J.Reardon, W.Dudman, R.Cunningham, C.Gimlett, C.Spillane.
Front Row:- R.Gray,T.Muldowney, R.Powell, A.Smith (Captain), W.Cunningham, L.Cunningham, G.Waygood.
Mascot - Joseph Crowley
.. Photograph contributed by Torfaen County Borough Councillor B. John Cunningham MBE KSG
.. A paper bag from Woodleys - The Family Butchers ..
.. Allistair Howard formerly of Abbey Road believes it's around 50 years old ..
.. If you have memories to add or old photographs you would like to share please click here to email me ..
This is a view down Ventnor Road, Old Cwmbran - alas The Rifle Club is boarded up and the Public toilets closed ... I believe the site is earmarked for development of Flats. (noted Sept. 2008)
Mel Hillman relates: The Rifle Club in Ventnor Road, Old Cwmbran - it was almost opposite the old Police Station (now Cwmbran Community Council Head Quarters); On the opposite side of the road was a cafe which supplied meals for those in custody...
Alastair Calder responds: Up the top of the hill was Dr. Kotaski`s surgery.
![]()
.. St.Dials School (demolished circa 1979) - Oak Street - Old Cwmbran ..
.. built in 1874 by Mr. Henry Parfitt (Pontnewydd) ..
Margaret Williams relates:- I attended St Dials School (Girls). The small building on the left (colour photograph) was the toilets. The yard in front was the play area.
Graham Pattimore relates:-
I went to this school from 1952 / 1958, I have very fond memories of my time at this school, myself and my school mates used to walk along the canal bank from Forgehammer to Old Cwmbran, it was safe to do so in those days.I vividly remember most of my teachers at the school, especially Reg Smith, who was a great inspiration to most of the children who attended the school; he was very strict but also very fair.
I remember every morning Mr. Smith, would ask all the class to hold out their hands so that he could inspect them to make sure that they were clean, and if they weren't, then he would send you to the toilets to wash them and re-inspect them when you got back to class. He was a great teacher who was liked by all.
I also remember Mr. Bassett and the head master at that time who was known as `spike` Jones, he was a great character, who insisted all pupils would visit his room at least 4 times a year for a spelling test. I recall that he had a very strong welsh accent and insisted that we all pronounced our rrr`s to the extreme.
I can also recall the huge pile of coal next to the head master's office which was used to run the boilers for the school heating, this was wheel barrowed into the boiler house by Mr. Len Brinkworth, who was everyone's friend.
Jeremy Purcell relates: I remember the school well as several of my elder brothers and sisters attended there. I also recall that the school's canteen was a separate, prefabricated building located in a field (which is now a residential area and Parkside sheltered accommodation complex) next to Cwmbran Park and only 5 minutes walk from the school (2 minutes in winter!!)... my mam was a dinner lady there!
Gerry King recalls: The Cwmbran Youth Band used it as a rehearsal room at one stage.
Stuart Roberts recalls: A Youth club being held there.
.. Click here for St.Dials School Photographs ..

This Great Western Railway ticket admitted one person to "C" Seats of the Olympia Cinema - Old Cwmbran
.. The ticket is not dated but must be pre 1948 because the railways were nationalised in that year ..
The Olympia cinema was situated next to the Rose and Crown Public House - Victoria Street.

Click here for Clomendy Farm info
.. Ty Coch ..

.. The inset photo is part of the Route 46 Mile marker, adjacent to the canal tow path/cycle path at Ty Coch ..
One thousand mileposts, provided by The Royal Bank of Scotland, help guide cyclists along the main 10,000 mile National Cycle Network.
The cast-iron mileposts are being made available through Sustrans, the charity developing the �400 million Network, which is supported by a �43.5 million grant from the Millennium Commission.
.. The mileposts are designed by Andrew Rowe, Jon Mills, Iain McColl and David Dudgeon ..
... Move your cursor over any photo below to identify and click to enlarge ...
Local watering holes ..Do you drink here? why not write a review?
Coloured photographs are copyright�cwmbran.info
.. Click here to meander down Memory Lane ..
Below is further fascinating information on the village of Cwmbran from Kelly`s Directory of Monmouthshire 1901 edition ..
Under the provisions of the "Local Government Act,1894," Cwmbran forms part of the Llantarnam Urban District and is governed by that Council. The Brecon and Monmouthshire canal, on which are four locks, passes through the village; the streets are lighted with gas by a company formed in 1877.
St. Gabriel's, a mission church in connection with the parish church of LlanvihangelLlantarnam, is an iron structure, erected in 1880 at a cost of �500, and has sittings for 400 Persons. The Catholic chapel, erected in 1867, is dedicated to Our Lady of the Angels, and will seat 250 persons, and there are Baptist, three Congregational, Wesleyan and Bible Christian chapels, and Gospel hall and one used by the Salvation Army.
A Police court, and Police station at Llantarnam road were erected in 1898 at a cost of �1,800, and here the petty sessions are held. The Patent Nut and Bolt Company Limited include in their works 20 puddling furnaces, 10 balling furnaces, rolling mills and a very large colliery, giving constant employment to about 2,000 men; Messrs. J. C. Hill & Co. Limited employ about 200 men in the manufacture of wire nails and steel wire and in galvanizing.
Richard Parfitt esq. of Cardiff road, Newport, is lord of the manor. The
principal landowners are the Patent Nut and Bolt Company Limited. The soil is
clay; subsoil, sandstone. The chief crops are wheat, barley, oats and roots,
with some pasture. The area and population are returned with Llanvihangel-Llantarnam.
Post, M.O. & T.O., T. M.O., Express Delivery, Parcel Post, S. B. & Annuity &
Insuran e office.
William Henry Walters, subpostmaster.
(Railway Suboffice. Letters should have R.S.O. Mon. added). Letters arrive from
London & all parts at 7.35 & 10 a.m. & 3 p.m.; sun. 8.45 a.m. callers only;
dispatched at 11.30 a.m. & 4.40 & 7.30 p.m.; sun. 3.30 p.m.
Wall Letter Boxes:
Oakfield, cleared at 8.30 a.m. & 6.30 p.m.
Spring street, cleared at 10.30 a.m. & 7.10 p.m.
Tycoch, cleared 6.50 p.m. week days only
CAERLEON PETTY SESSIONAL DIVISION
For list of magistrates see Caerleon.
Petty sessions held at the Courthouse here on a thursday, monthly 10.30 a.m.
County Police Station, Daniel Stephens, constable
PLACES OF WORSHIP
with times of services.
St. Gabriel's Mission Church, Rev. John Alex. Williams B.A. curate; 11 a.m. &
6.30 p.m.; thurs. 7.30 a.m. & 7.30 p.m.
Catholic Chapel of Our Lady of the Angels, Post office road; 9 & 11 am. & 6.30
p.m.
Baptist (Siloam), Oakfield, Rev. William Edward Robinson; 11 a.m. & 6 p.m.;
thurs. 7.30 p.m.
Bible Christian, Oakfield, 11 a.m. & 6 p.m.; & every alternate tues. 7.30 p.m.
Congregational, Pen-y-Waen, Rev. Albert Whittingham A.T.S.; 11 a.m. & 6 p.m.;
wed. 7.30 p.m.
Congregational (Elim), 11 a.m. & 6 p.m.; tues. 7.30 p.m.
Congregational, Tycoch, 2.30 p.m.
Congregational, St. Dialls Road (Bethel), Rev. William Hughes; 11 a.m. & 6.30
p.m.
Wesleyan, St. Dialls road; 11 a.m. & 6 p.m.; tues. & thurs. 7 p.m.
Gospel Hall, Oakfield, 6.30 p.m.
Salvation Army, Llantarnam road, 7 & 11 a.m. & 6 p.m.; daily, 7.30 p.m.
SCHOOLS.
Board (under Llanvihangel-Llantarnam School Board), St. Dialls road, erected
in 1874 & enlarged in 1883, for 560 children; average attendance, 183 boys, 182
girls &. 253 infants.
William John James, master; Miss J. K. E. Fairbairn, mistress; Mrs. E. A. James,
infants' mistress
Catholic (mixed), built in 1883 & enlarged in 1899, for 250 children; average
attendance, 170.
Miss Margaret Carroll, mistress; Miss Bridget Cushing, infants' mistress.
RAILWAY STATIONS.
Cwmbran, Thomas Spracklin, station master
Pontnewydd, William Williams, station master
PRIVATE RESIDENTS
(Names marked * postal address Pontnewydd, Newport.)
Colquhoun Mrs., Pant-y-berllan, Grange road
Diprose, Samuel, Henllis house, Glannant
Hughes Rev. William (Congregational), Emlyn house, Prospect place
Murphy William Edward Cavanagh, M.B. Prospect place
Pilliner Fredk. Woodside house, New rd
Pilliner Mrs. Woodside house, New rd
Rafarel Frederick William J.P. Glencoed cottage
Robinson Rev. William Edward (Baptist), Llantarnam road
Whittingham Rev. Albert (Congregational), Llantarnam road
Williams Rev. John Alex. B.A. (curate of Llantarnam), 3 Clevedon terrace
COMMERCIAL
Andrews Robert, shopkeeper, Oakfield
Baker Stephen Edward Salisbury, beer retailer, Canal side
Bevan Jn. grocer & baker, St. Dial's rd
Bevan John, shopkeeper, Oakfield
Bevan Wm., grocer, Woodsvale road
Blackman Albert, draper, Oakfield
Blackman Mary Ann (Mrs.), shopkeeper, Oakfield
Bond John, grocer, Tycoch
Bond Margaret (Mrs.), grocer & baker, Llantarnam road
Carver Chas. jun., beer retailer, Oakfield
*Clark Elizabeth Ann (Mrs.), shopkeeper, 4 Thomas' row, Grange road
Cocker Henry Smith & James, grocers, bakers & farmers, Post office road,
Oakfield
Coles Wm., shopkeeper, Springvale road
Cousins Uriah, farmer, Green meadow
Crawshay Edwin, managing director of J. C. Hill & Co. Ltd. Oakfield.
Cross Walter, draper, Woodside, road
Cwmbran Brick Co. Limited (George W. Williams, manager), brick
manufacturers, Llantarnam road.
Cwmbran & Pontnewydd Gas Co. Ltd., (Thomas Herbert White, manager),
Woodside road
Cwmbran Subscription Brass Band, (Lewis Edwards, conductor), Malpas
street
Dando John, farmer, Oakland
Davies Arthur, shopkeeper, Oakfield
*Davies David, shopkeeper, 12 Grange rd
Davies Henry, haulier, Abbey road
Davies Thos., shopkeeper, Abbey road
Deadman Chas., shopkeeper, Spring Street
Dunn Elizabeth (Mrs.), shopkeeper, 2 Woodland terrace
Evans John, beer retailer, Tycoch
Francis Thomas, farmer, Pentre basket
Gainsworthy John, farmer, Ton mill
Galsworthy Wm., plumber, Oakfield
Gibbins James, Forge Hammer P.H., Spring street
Gibbs James, vitriol manufacturer. Llantarnam road
Harris Thomas, manager, Vitriol Works house, Llantarnam road
Hastings Alfred, farmer, Ty- Gwyne
Baynes Albert Joseph, draper, Post Office road
Hill J. C. & Co. Limited (Edwin Crawshay, managing director), wire nail &
steel wire manufacturers & galvanizers, Oakfield
Hedges Patience (Mrs.), draper, St. Dial's road
Hedges Thomas Chas., grocer, Llantarnam road
Hood John, news agent, Abbey road
Howells Adelia (Mrs.), beer retailer, Post office road
Howells Charles, grocer, Post office road
Humphreys David Evan, Halfway House P.H., St. Dial's road
Hunt Sarah Ann (Mrs.), Mill P.H., Glannant
Hutchins Geo., Railway inn, Oakfield
Iles Albert, boot & shoe maker, St. Dial's road & Abbey road
Jackson J. draper, Llantarnam road
Jacobs & Co. clothiers & boot dealers, Abbey road
James Mary Ann (Mrs.), confectioner & hair dresser, Llantarnam road
Jennings Sydney, beer retailer. Oakfield
Jones David, shopkeeper, Oakfield
Jones Edmund, beer retailer, Glannant
Jones John, farmer, St. Dials.
Jones John, farmer, Two Locks farm, Oakfield
Jones Maria (Mrs.), farmer, Glannant
Jones Samuel, farmer, Grangnant farm
Jones Thos., news agent, St. Dial's road
Jones Thos. shopkeeper, St. Dial's road
Jones William, blacksmith, Oakfield
Jones William, butcher, St. Dial's road
Jones William, grocer, Victoria place, Llantarnam road
Jordan Henry, baker, Woodside road
Laughton Michael, manager, Penywain villa
Lewis Ann Jane (Miss), grocer, Two Locks
Lewis Arthur, farmer, New house
Lloyd Thomas F., butcher, Abbey road
Love George, beer retailer, New road
Mabe Leonard, greengrocer, St. Dial's road
McCarthy Daniel, shopkeeper, Oakfield
MeGuire Harriette (Mrs.), Abbey P.H., Abbey road
Matthews Wm. clerk, Llantarnam road
Meredith Bertha Maud (Miss), draper & milliner, St. Dial's road
Morgan Charles, watch maker & jeweller, Victoria place, Llantarnam road
Morgan Chas., hair dresser, Post Office road
Morgan Josiah, clerk, Llantarnam road
Morgan Mary (Mrs.), shopkeeper & registrar of births & deaths for
Llantarnam sub-district, Newport union, Llantarnam road
Morgan Windsor, clerk, Llantarnam road
Mumford John, farmer, Clomendy farm, St. Dial's road
Murphy William Edward Cavanagh, M. B. & B.Ch.(Dub.), L.M., surgeon, &
medical officer of health to Llanfrechfa Upper & Llantarnam Urban District
Councils & medical officer & public vaccinator for Llanvihangel-Llantarnam
district, Newport union, surgeon to the G.W.R. & certifying factory surgeon,
Prospect place
Nicholas Joseph, farmer, Pen-y-waen
Nott John, shopkeeper, 5 Woodland terrace
Osborne Sarah (Mrs.), shopkeeper, Abbey road
Parsons &, Co. butchers, St. Dial's road & Grange road
Parsons Thomas, shopkeeper
Oakfield Patent Nut & Bolt Co. Limited (Frederick Rafarel, manager), bolt
& nut & iron manufacturers, iron masters, iron founders, colliery owners, fire,
brick, retort & coke manufacturers, Cwmbran iron works & Henllis coliieries;
London works, Birmingham & West Bromwich; & 66 Cannon st. London EC. Telegraph
address "Patent, Newport, Mon"; G.P.O. Telephone No. 38.
Pennymore, Wm. T., grocer & beer retailer, Oakfield
Peterson John, grazier, Ton farm
Phillips Osmond Jas., clerk,Clevedon terrace
Phillips Wm. T., clerk, Prospect place
*Pickman William & Son, farmers, Grange & Mount Pleasant farms
Pickman Philip, shopkeeper,Oakfield
Playsted Daniel, beer retailer. Canal side
Powell Philip, baker & grocer, Woodside road
Powell Wm. beer retailer, Tycoch
Pritchard Jn. Thos., Oakfield inn, Oakfield
Pritchard Jsph., Wheatsheaf inn, Tycoch
Purchase Arthur, boot maker, Llantarnam road
*Quick Mary Ann (Mrs.), shopkeeper, Grange road
Quilford Jas., shopkeeper, Woodside road
Rafarel Frederick, manager to the Patent Nut & Bolt Co. Lim., Cwmbran
iron works
Richards John, grazier, Tyn-y-pwll
Rowlands Sydney, grocer & draper, Abbey road
Sadler Arthur, hair dresser, Cwmnant road
Sawtell Robt., beer retailer, Llantarnam road
Shearn Austin, greengrocer & china & glass dealer, St. Dial's road
Shearn James, hair dresser, Oakfield
Simmons Charles William, carpenter, undertaker & general funeral
furnisher, St. Dial's road & Cwmnant road
Smith James, apartments, 9 Grange road
Spencer Honoria (Mrs.), draper, Abbey road
Stanley Florence (Miss), confectioner, St. Dial's road
Stanley John, clerk, Victoria villas, Llantarnam road
Stephens Daniel, police constable
Stock Charles, hair dresser, Oakfield
Summers Henry, coffee tavern, Llantarnam road
Thomas Henry, assistant overseer & collector to Llantarnam Urban District
Council, Hill view
Thomas James, haulier, Llantarnam road
Thomas John Walter, ironmonger, Llantarnam road
*Thomas Sarah Ann (Mrs.), shopkeeper, 25 Grange road
Thorne George Frederick, grocer & patent medicine vendor, & agent for W.
& A. Gilbey Lim., wine & spirit merchants, St. Dial's road
Turberville Sarah (Mrs.), shopkeeper, Tycoch
Volunteer Battalion (3rd) South Wales Borderers ('C' Company; Capt. D. M.
Graham), Llantarnam road
Wadley Alfred, farmer, Pant-y-glass
Wait John, haulier, Oakfield
Walker Robt., shopkeeper, Woodside rd
Walters Wm. Hy., grocer & post office, Post office road
Wayman Danl., shopkeeper, Post office rd
Williams John B., secretary, Oakfield villas, Canal side
Williams Wm., station master, Railway station
Williams William John, grazier, Little Gelly, Grange road
Willetts George, shopkeeper, Oakfield
Willis Rebecca (Miss), dress maker, 2 The Villas
Wood George, shopkeeper, Abbey road
Woodley H. & Co., butchers, Llantarnam road
Woodside Brick Co., brick makers. Woodside road